Se forma tormenta tropical "Sebastien" en el Atlántico
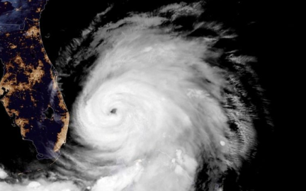
Este martes se formó en el Atlántico la tormenta tropical “Sebastien”, sin embargo, se espera que permanezca en aguas abiertas.
Este martes se formó en el Atlántico la tormenta tropical “Sebastien”, sin embargo, se espera que permanezca en aguas abiertas.
El presidente de Estados Unidos, aseguró que se encuentra planteándose seriamente sobre la posibilidad de testificar ante el Congreso en el marco de las investigaciones para un posible juicio político contra él.
La fiscalía sueca anunció el cierre de la investigación preliminar por violación que se habría producido en 2010, contra Julian Assange, fundador del portal WikiLeaks por el debilitamiento de las evidencias y la falta de base para una acusación.
Esta semana, considerada como la más crucial en el juicio político que se realiza en la Cámara de Representantes de los Estados Unidos, en contra del presidente, Donald Trump.
Tras las protestas violentas que se han registrado en Irán, han dejado al menos 90 muertos, miles de herdos y cientos de manifestantes, en el quinto día en rechazo al alza del precio de la gasolina.
Al menos 15 personas murieron y otras nueve resultaron heridas tras una explosión de gas registrada en una mina de carbón en la provincia china de Shanxi, en el norte del país, informaron fuentes oficiales.
Este lunes las autoridades chilenas decretaron el estado de emergencia en la región de Valparaíso a causa de un incendio forestal que ha destruido nueve casas en su totalidad.
Al menos 94 migrantes que viajaban sobre una lancha de goma que navegaba a la deriva en el mar Mediterráneo fueron rescatados por el buque Ocean Viking, informaron este martes las ONGs Médicos Sin fronteras (MSF) y SOS Mediterranée. Las dos ONGs publicaron este martes el mismo mensaje en sus respectivas cuentas de Twitter informando del rescate y aportando una imagen de la lancha neumática con los migrantes en el momento en el que fueron rescatados por el personal humanitario. Entre los rescatados figuran once mujeres, cuatro de ellas embarazadas, y dos niños de corta edad.
Este lunes el Tribunal Supremo de Estados Unidos bloqueó de manera temporal la entrega de los registros financieros del presidente estadounidense, Donald Trump, mientras se espera la respuesta del Comité de Supervisión de la Cámara Baja, que investiga las finanzas del mandatario.
Estados Unidos levantará el próximo mes las exenciones de sanciones en la planta nuclear Fordo de Irán, ante la reanudación de las actividades de enriquecimiento de uranio en el sitio.
Dos personas, perdieron la vida este lunes luego del hundimiento de un puente metálico colgante en el suroeste de Francia, un accidente que avivó el debate en el país sobre el estado de estas estructuras.
El gobierno interiono de Bolivia, denunció este lunes que “grupos criminales” mismos que están ligados al narcotráfico, amenazaron de muerte a la presidenta Jeanine Áñez.
Un pequeño de 5 años llevó una bolsita de heroína a la escuela, esta tenía estampado el dibujo de Spiderman.
El expresidente de Bolivia Evo Morales agradeció al aspirante demócrata a la Presidencia de Estados Unidos, Bernie Sanders, por reconocer la disminución de la pobreza durante su gobierno y sumarse a la denuncia del golpe de Estado en su contra.
El presidente estadunidense, Donald Trump, dio a conocer que considerará “seriamente” testificar en la investigación previa a un juicio político en su contra, proceso que lleva a cabo la Cámara de Representantes.
El Departamento de Policía de Duncan, en Oklahoma, dio a conocer que hay al menos tres muertos por un tiroteo en un Walmart ubicado a unas 80 millas al sur de la capital del estado.
Este lunes la armada de Ucrania dio a conocer que Rusia comenzó la devolución de tres barcos militares que capturó en el estrecho de Kerch en 2018.
Deja al menos un muerto y varios desaparecidos tras el derrumbe de un puente colgante en la localidad de Mirepoix sur Tarn, cerca de Toulouse (sur de Francia).
Dos maestros universitarios de química de Arkansas, Estados Unidos, fueron arrestados por cargos de fabricar metanfetaminas y por poseer parafernalia relacionada con drogas.
El Tribunal Superior de Hong Kong dictaminó este lunes que una ley de emergencia invocada por el gobierno el mes pasado para prohibir a los manifestantes el uso de máscaras faciales es inconstitucional. El tribunal consideró que la citada normativa, que entró en vigor el 5 de octubre, va en contra de la Ley Básica, la Carta Magna de esta ciudad semiautónoma que regresó al dominio chino en 1997. La normativa señala que el uso de una máscara, en cualquier tipo de reunión, es ilegal y que quien la utilice corre el riesgo de ser condenado a un año de prisión y una multa de 25 mil dólares hongkoneses. Además de que le daba el poder a las fuerzas policiales de ordenar que, quien la portara se la quitara y que –en caso de que se resistiera- podría pagar una pena de seis meses adicionales de prisión.
Al menos cuatro personas murieron y otras seis resultaron heridas la noche de este domingo en un tiroteo en la ciudad de Fresno, California, informó la policía local. Según versiones preliminares, los atacantes abrieron fuego contra un grupo de 35 personas que se había reunido la noche del domingo en el patio trasero de una vivienda para ver un partido de futbol americano. La policía indicó que los agresores, cuya identidad se desconoce, entraron sin ser vistos y se dieron a la fuga tras disparar contra la multitud. Por el momento no hay ningún detenido ni una descripción de los sospechosos. Tampoco se tienen indicios de que conocieran a las víctimas ni que se trate de un enfrentamiento de pandillas. Tres de las víctimas murieron en el lugar, mientras que una más murió durante su trasladado al hospital, todos hombres entre 25 y 30 años de edad. Las otras seis personas que reultaron heridas se encuentran fuera de peligro y fueron llevadas a un hospital local
El presidente de Estados Unidos, Donald Trump, defendió a su potencial rival en las próximas elecciones presidenciales de 2020, el demócrata Joe Biden, de la caracterización que hizo una agencia norcoreana informativa donde era retratado como “perro rabioso”.
Varios incendios declarados este fin de semana en la región de Valparaíso, al centro de Chile, aún se mantienen activos y han consumido más de 2 mil 500 hectáreas, provocando la evacuación de centenares de vecinos.
Un niño con tan solo 9 años de edad, logró atrapar un bagre azul de 19 kilos (42 libras) de peso mientras pescaba en el embalse Elephant Butte de Nuevo México.