Ian se degradó a ciclón post-tropical en Carolina del Sur
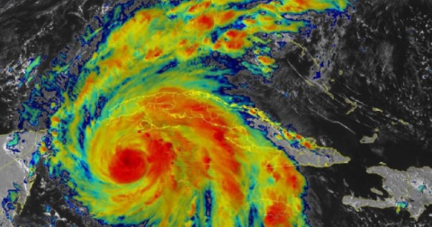
Después de su desastroso paso por Florida, dejando centenas de daños y muertos, el Huracán Ian se degradó a ciclón post-tropical en Carolina del Sur.
Después de su desastroso paso por Florida, dejando centenas de daños y muertos, el Huracán Ian se degradó a ciclón post-tropical en Carolina del Sur.
El juez de la Corte de Distrito de Massachusetts, en Boston, Dennis Saylor, emitió este viernes un memorándum donde anuncia que la demanda que el gobierno de México presentó contra siete armerías y una distribuidora de armas estadounidenses fue desestimada.
El huracán “Ian” tuvo un paso devastador por Florida, arrasando ciudades y dejando un saldo de víctimas humanas potencialmente “sustancial” en su paso antes de dirigirse hacia el sureste de Estados Unidos.
El presidente de Rusia, Vladímir Putin, consumará este viernes con la firma de tratados la anexión de cuatro territorios ucranianos ocupados en el este y sur del país vecino, lo que supone en torno al 15% del territorio de Ucrania o unos 100 mil kilómetros cuadrados, un tamaño similar al de países como Hungría y Portugal.
El mandatario estadounidense Joe Biden, advirtió a su homólogo ruso, Vladímir Putin, de que su país nunca reconocerá la anexión de territorios de Ucrania por parte de Rusia.
War Machine ya no se quedará atrás con su propia historia, la cual llegará a Disney+ con una ligera modificación, cambiará su formato de serie a película.
Este jueves el Archivo Nacional de Escocia, reveló el certificado de defunción de la Reina Isabell, en el que se dictaminó que falleció de "vejez".
La economía del país retrocedió 0.1 por ciento en el segundo trimestre del año y cayó a un ritmo anual de 0.6 por ciento, informó este jueves el gobierno de Estados Unidos.
El huracán “Ian” se ha debilitado a tormenta tropical con vientos de 104 kilómetros por hora, a su paso por la península de la Florida, aunque conserva fuertes lluvias.
Estados Unidos dio a cononocer que enviará un nuevo paquete de ayuda militar a Ucrania, por valor de mil 100 millones de dólares, consistente en armas y equipamiento castrense.
La Administración para el Control de Drogas de los Estados Unidos (DEA por sus siglas en inglés), anunció este martes, la incautación de 36 millones de dosis de fentanilo, entre mayo y septiembre, introducidas por parte de dos grupos delictivos mexicanos.
La Organización de las Naciones Unidas (ONU) dejó claro que no reconocerá el resultado de los referendos de anexión a Rusia de varias regiones ucranianas, mientras que el presidente de Ucrania, Volodímir Zelensky, pidió un aislamiento de Rusia en todas las organizaciones internacionales en una sesión extraordinaria del Consejo de Seguridad de la ONU.
Este miércoles la diplomacia rusa exigió al mandatario estadounidense si Joe Biden, a declarar si su país esta detrás o no de las fugas detectadas en los gasoductos Nord Stream 1 y 2 en el mar Báltico.
El mandatario estadounidense Joe Biden mantuvo formalmente el límite de admisiones de refugiados en 125 mil para el año fiscal 2023, pese a la presión de activistas para que se aumente aún más para satisfacer las necesidades después de quedar muy lejos de ese objetivo este año.
Un joven murió y otros cuatro resultaron heridos en un tiroteo cerca de un campo deportivo en una escuela secundaria de Philadelphia, Estados Unidos.
Este martes el huracán "Ian" tocó tierra en Cuba con vientos de 205 kilometros por hora, se prevé que mantega su fuerza mientras cruce la mayor de las Antillas y se reforzará cuando emerja en el Golfo de México como una importante amenaza para Florida, en forma de marejadas ciclónicas, viento, lluvias y tornados.
Estados Unidos se rehusó a opinar sobre la victoria de la ultraderechista Giorgia Meloni en las elecciones italianas y se limitó a decir que está preparado para trabajar con “cualquier” Gobierno que se forme en el país europeo.
Las autoridades intentan determinar el origen de misteriosas fugas y pérdidas de presión en dos gasoductos que iban de Rusia a Alemania bajo el mar Báltico, este mismo día que se inauguraba un nuevo ducto que pretendía reducir la dependencia de Polonia y Europa del gas ruso.
Un hombre mató a tiros a 17 personas ayer en una escuela del centro de Rusia para luego suicidarse, informaron las autoridades.
Canadá anunció que a partir del 1 de octubre eliminará todas las restricciones sanitarias para la entrada de viajeros al país, como certificados de vacunación contra la covid-19 o la realización de pruebas para detectar la enfermedad antes y después de su llegada.
Este lunes la autoridad electoral anunció que Cuba votó a favor de legalizar el matrimonio entre personas del mismo sexo, la adopción gay y el vientre subrogado, al "ratificar" en referendo el Código de las Familias respaldado por el gobierno.
Deja al menos quince personas muertas, entre ellos once niños, el tiroteo ocurrido en una escuela de Izhevsk, en el centro de Rusia.
El valor de la libra esterlina se desplomó este lunes respecto al dólar estadounidense a su nivel más bajo desde 1971.