Hombre apuñala varias personas afuera de un casino en Las Vegas
Los primeros reportes señalan dos muerto y al menos 6 heridos por este ataque, afueta del Wynn Casino & Resort en Las Vegas, de acuerdo con los medios locales.
Los primeros reportes señalan dos muerto y al menos 6 heridos por este ataque, afueta del Wynn Casino & Resort en Las Vegas, de acuerdo con los medios locales.
El presidente de los Estados Unidos, Joe Biden indultó a miles de estadounidenses condenados por “posesión simple” de marihuana según la ley Federal.
Tribunal de EU falla en contra del programa DACA un tribunal federal de apelaciones de Estados Unidos otorgó una suspensión temporal al programa migratorio Acción Diferida para los Llegados en la Infancia (DACA, en inglés), cuyo beneficiarios se conocen como “soñadores“.
Corea del Norte disparó este jueves un misil balístico hacia el mar coincidiendo con la reunión del Consejo de Seguridad de Naciones Unidas en Nueva York por el reciente lanzamiento de un misil sobre Japón por primera vez en cinco años.
Corea del Norte disparó misil balístico cerca de las costas de Corea del Sur, este nuevo lanzamiento ocurre horas después de la respuesta de Estados Unidos.
Rusia movilizó el submarino Belgorod, uno de sus transportes militares más temidos por sus rivales y que podría tener la capacidad de generar un “tsunami nuclear".
Este miércoles se registró un sismo de magnitud 6.1 en la costa del Pacífico sur de Perú sin provocar daños materiales. Sin embargo, una persona de la tercera edad murió debido a un paro cardiaco, producto de la impresión.
Un motín seguido de brutales choques entre reclusos deja 15 muertos, la mayoría desmembrados, y al menos 44 heridos en una prisión del centro andino de Ecuador, sumido en la peor crisis carcelaria de su historia a causa de pugnas del narcotráfico.
La Organización de las Naciones Unidas para la Educación, la Ciencia y la Cultura (UNESCO), alerto sobre una crisis mundial de escasez de docentes y señaló que se necesitan 69 millones de profesores en todo el planeta para alcanzar la educación básica universal en 2030.
El actor mexicano Pablo Lyle fue declarado este martes culpable de homicidio involuntario por la muerte de Juan Ricardo Hernández, un hombre de 63 años, por un suceso ocurrido en 2019.
El libro publicado recientemente por la periodista del New York Times, Maggie Haberman, reveló que el expresidente de Estados Unidos, Donald Trump planteó varias veces la posibilidad de bombardear laboratorios de drogas mexicanos.
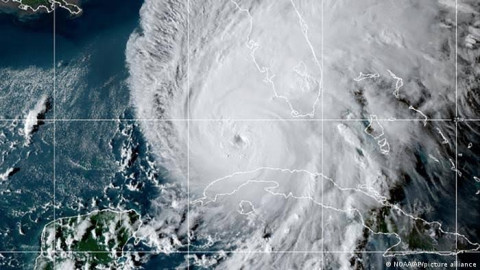
Las autoridades de Florida confirmaron que se elevó a 58 las muertes registradas por devastador paso del huracán "Ian", que entró por el suroeste del estado y en donde los equipos de emergencia continúan hoy en modo de búsqueda y rescate.
La Duma o Cámara de diputados de Rusia ratificó la anexión de las autoproclamadas repúblicas populares de Donetsk y Lugansk, y de las regiones de Zaporiyia y Jersón, en el este y sur de Ucrania, donde el Ejército ruso pierde actualmente posiciones ante la contraofensiva de las fuerzas ucranianas.
El Ministerio de Sanidad dio a conocer que a finales de septiembre un trabajador de una explotación avícola española contrajo la gripe aviar en un infrecuente caso de transmisión a humanos, y permaneció asintomático hasta dar negativo sin conocerse otros contagios.
Las autoridades japonesas pusieran en alerta al país luego de anunciar esta tarde que Corea del Sur lanzaría un misil y no se sabía con exactitud dónde podría aterrizar o cuál era su destino.
La NASA investiga una pequeña pieza de escombros extraños, captados en las imágenes de la cámara de navegación del helicóptero de Marte durante una parte de su vuelo 33.
Las autoridades de los Cayos de Florida (sur de EU) recuperaron otros tres cuerpos sin vida que se cree que pertenecen a víctimas del naufragio de una embarcación en la que unos 25 cubanos pretendían llegar a los Cayos de Florida en medio de la marejada causada por el huracán Ian la semana pasada.
El presidente de Brasil, Jair Bolsonaro, obtuvo este domingo un sorpresivo 43% de los votos en la primera vuelta electoral, mientras que el exmandatario de izquierda Luiz Inácio Lula da Silva, recibió un 47%, informó la autoridad electoral.
417 turistas rusos arribaron este sábado a la Isla de Margarita, en el noreste de Venezuela, después de 7 meses de interrupción de la conexión por las restricciones aéreas impuestas a Rusia por su invasión de Ucrania.
Las autoridades de Florida reportaron ayer 53 muertes por el huracán “Ian” mientras que el gobernador de Carolina del Norte informó de cuatro decesos confirmados por el poderoso ciclón, que no ha dejado por el momento víctimas mortales en Carolina del Sur.
Luiz Inácio Lula da Silva y Jair Bolsonaro movilizaron el día de ayer a miles de seguidores en Sao Paulo, la mayor ciudad de Brasil, antes de medir sus fuerzas este domingo en la electrizante primera vuelta de las elecciones presidenciales.
Debido a la cantidad de vidas y cosas materiales que ha cobrado el Huracán Ian, el presidente de los Estados Unidos, Joe Biden, declaró el estado de Florida en emergencia federal.
El ciclón postropical "Ian" produce aún este sábado fuertes lluvias a su paso por Carolina del Norte y se espera continué su trayecto por Virginia en lo que son los últimos estertores de un recorrido de destrucción por el sureste de Estados Unidos.
El empresario estadounidense Elon Musk, sorprendió a todos al afirmar que buscaba comprar la exitosa agrupación surcoreana BTS, “Quiero comprar BTS. Son muy populares. ¿Qué les parece, Army?”.