Se forma huracán "Kenneth" en el Pacífico

Nacional / Nacional / Por: Staff NotiGape

Publicado: 20 de agosto, 2017 | 6:55 PM

Se forma huracán "Kenneth" en el Pacífico

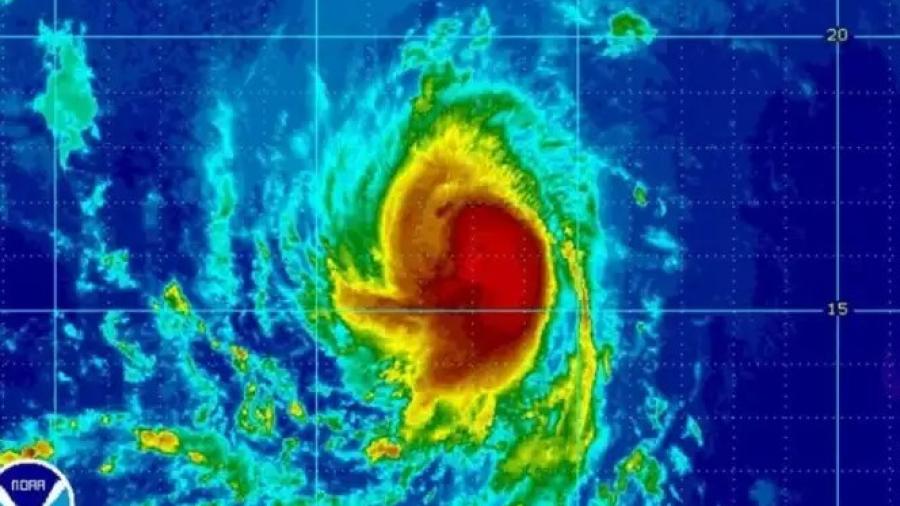
El Centro Nacional de Huracanes de Estados Unidos indicó que este domingo se formó el huracán “Kenneth”, en la costa del Pacífico, con vientos máximos sostenidos de 120 kilómetros por hora, se espera que al moverse a través del mar abierto, se fortalezca.

Por otra parte, reportó que la tormenta tropical “Harvey” ya cruzó el Mar Caribe, y hay probabilidades de recupere fuerza antes de llegar a América Central y la Península de Yucatán en México.

Kia