‘Erick’ se intensifica a huracán categoría 3
Nacional / Nacional / Por: Staff NotiGape
Publicado: 18 de junio, 2025 | 10:11 PM
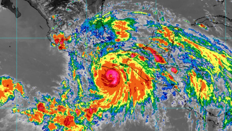
‘Erick‘ se intensificó a un huracán categoría 3 mientras continúa su avance hacia costas de Oaxaca, en los límites con Guerrero.
La Comisión Nacional del Agua informó que en la actualización de las 18:00 h el meteoro se localizó 90 kilómetros (km) al sur-suroeste de Puerto Angel, Oaxaca, y 260 km al sureste de Punta Maldonado, Guerrero.
Tiene vientos máximos sostenidos de 195 kilómetros por hora (km/h), rachas de 220 km/h y desplazamiento hacia el noroeste a 15 km/h.
Por sus desprendimientos nubosos, continuarán las lluvias extraordinarias (mayores a 250 milímetros [mm]) en Oaxaca, torrenciales (de 150 a 250 mm) en Guerrero y Chiapas, rachas de viento mayores a 210 km/h y oleaje de 6.0 a 8.0 metros (m) de altura en costas de Oaxaca y Guerrero, rachas de 100 a 120 km/h y oleaje de 4.0 a 5.0 m en costas de Chiapas, marea de tormenta de 2 a 2.5 m en la costa de Oaxaca, así como trombas marinas frente a la costa de Oaxaca.
Por su parte, la presidenta Claudia Sheinbaum Pardo, llamó a la población a resguardarse y atender las indicaciones de Protección Civil ante el inminente impacto del huracán Erik, que se prevé toque tierra la madrugada del jueves como categoría 3 en los límites de los estados de Oaxaca y Guerrero.
Aviso importante sobre el huracán Erick categoría 3, que avanza hacia las costas de Guerrero y Oaxaca. Mantengámonos informados. pic.twitter.com/QsvL8RegX0
— Claudia Sheinbaum Pardo (@Claudiashein) June 19, 2025